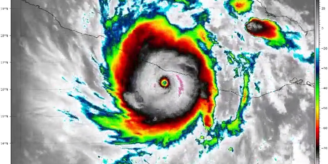
Dünya Meteoroloji Örgütü (WMO), Otis Kasırgası’nın ‘Kategori 5’ gücüne ulaşarak bugün itibariyle Meksika’nın güney sahillerinde etkili olmaya başladığını duyurdu. Rüzgar şiddetinin yer yer saatte 265 km hıza ulaştığı ifade edildi.
WMO bugün yaptığı açıklamada “Patlayıcı yoğunlaşmanın ardından Otis, Meksika’da Acapulco yakınlarında en üst düzey Kategori 5 gücünde karaya ulaştı. Maksimum sürekli rüzgar 265 km/saat” denildi.

YÜKSEK DALGALAR VE ANİ SEL BEKLENİYOR
ABD Ulusal Kasırga Merkezi’nin (NHC) Doğu Pasifik Birimi, uyarı yayınlayarak Otis’in Meksika’nın güney sahili Acapulco’da etkili olmaya başladığını, yaşamı tehdit eden rüzgarların şiddetli yüksek dalgalara ve ani kentsel sel baskınlarına neden olabileceğini vurguladı.













